Buy
Kuala Lumpur
Search property, location...etc
Property Type
All Non Landed
Price
Bedrooms
Built-up Area
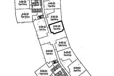
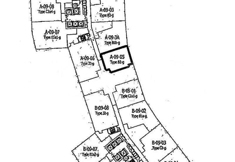
There are 29 Properties for Sale at undefined undefined. You can use the enhanced search filters available to find the right property for you.
Explore our extensive property collection with a powerful evaluation tool that offers clear market insights, helping you confidently find the right property in Malaysia. Begin your search using the filters above.
