13 Residential Land properties for sale in Tanjung Bungah
Frequently Asked Questions
ADVERTISEMENT
ADVERTISEMENT

Explore EdgeProp
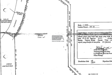
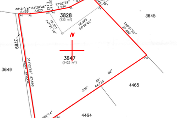
There are 13 properties for sale based on your search criteria in Tanjung Bungah. You can use the enhanced search filters available to find the right landed homes, condominium, bungalow or residential land in this area.
READ MORE